Les terrains que nous vous proposons
Un de nos terrains vous intéresse ou vous vendez un terrain viabilisé ou non ?
Lotissement avec 4 parcelles à vendre
4 lots allant de 627m² à 999m², (Lot n°4 réservé)
Parcelles à retrouver au cœur du village de Pouilley-Français.
Place de la Mairie – 25 410 – Pouilley-Français.


Lotissement avec 5 parcelles à vendre
5 lots allant de 1006 m² à 1310 m²
Parcelles à retrouver dans le village paisible de Clerval.
Rue Leonel de Moustier – 25 340 – CLERVAL

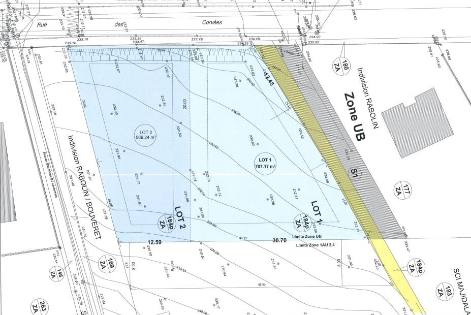
2 terrains à vendre
2 lots allant de 570 m² à 707 m²
Parcelles à retrouver dans le village de Cussey-Sur-l’Ognon
Rue des Corvées – 25 870 – CUSSEY-SUR-L’OGNON




